Креслення та 2D-моделювання у CAD

Виконуємо повний цикл створення технічної 2D і 3D документації на основі хмар точок та/або інших геопросторових даних.
Розробляємо креслення фасадів, розрізів, цифрові моделі рельєфу (ЦМР), топографічні плани, поперечні профілі та інші креслення, які готові до інтеграції у CAD, GIS або CAFM-середовища.
Результати CAD-обробки застосовуються для реконструкцій, проєктування інженерної інфраструктури, містобудування, цифровізації об’єктів або впровадження CAFM-рішень.
Ми забезпечуємо відповідність міжнародним стандартам, технічну точність і форматування під потреби замовника.
Направлення
Ми забезпечуємо відповідність міжнародним стандартам, технічну точність і форматування під потреби замовника.

Приклади виконаних робіт

Видатні результати у складних проєктах

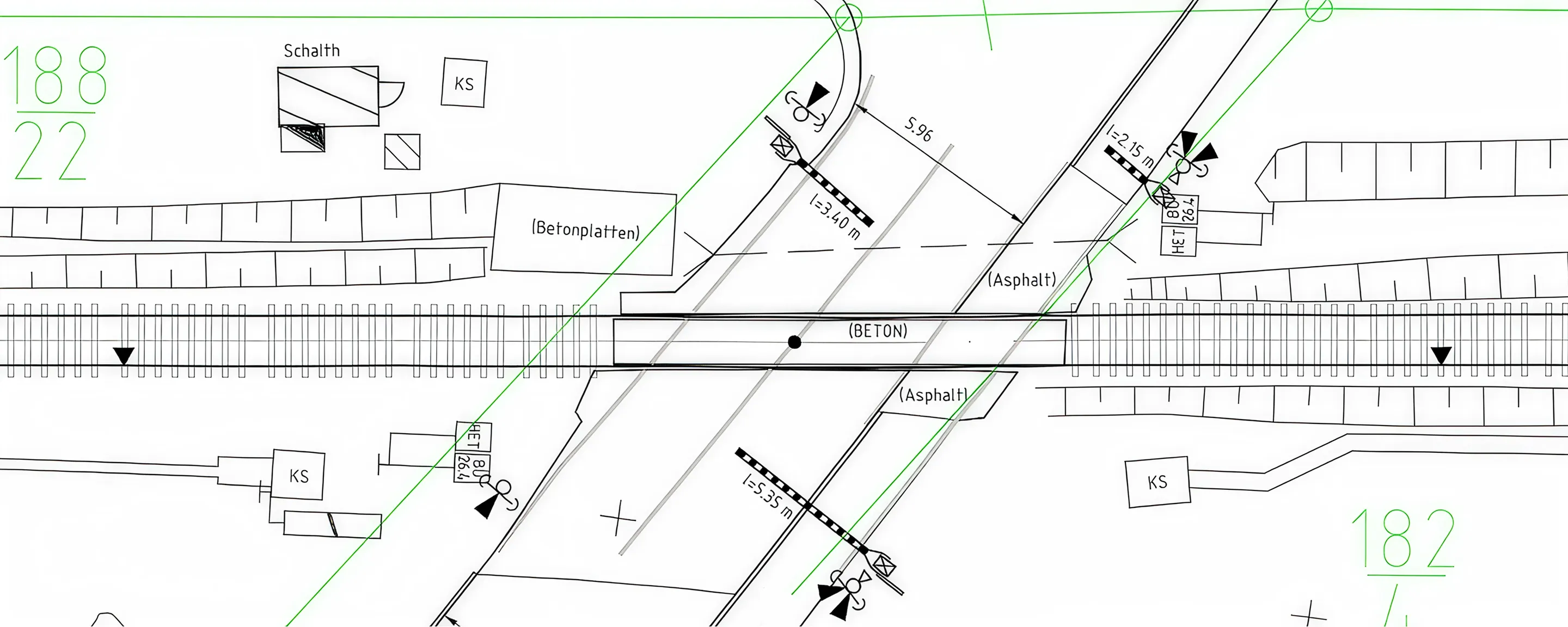
Топографічні плани М 1:200 для 95 залізничних переїздів

Команда Архізем виконала комплекс робіт та розробила 95 топографічних планів залізничних переїздів у масштабі 1:200. Для кожної локації детально зафіксовано елементи інфраструктури в межах робочої зони.
ДЕТАЛЬНИЙ ОПИС

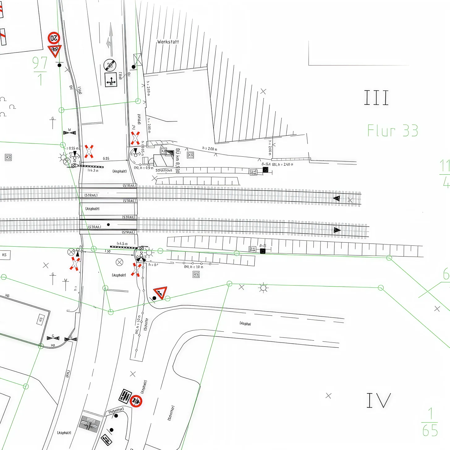
Топографічний план М 1:200 для реконструкції залізничної інфраструктури

Команда Архізем виконала комплекс топографо-геодезичних робіт та розробила топографічний план масштабу 1:200 для ділянки залізниці завдовжки близько 4,75 км. На плані детально зафіксовано елементи залізничної та іншої інженерної інфраструктури.
ДЕТАЛЬНИЙ ОПИС

Послуги

01

Креслення CAFM

Ми спеціалізуємося на створенні точних планувальних креслень будівель та приміщень на основі даних лазерного сканування (хмар точок), спеціально оптимізованих для безпроблемної інтеграції в системи управління активами та експлуатацією (CAFM).

Кожен об'єкт на кресленні — приміщення, зона, інженерний елемент — отримує унікальний ідентифікатор і комплект атрибутів: точну площу (корисна, загальна, по DIN 277), висоту, призначення, матеріали оздоблення. Вся інформація структурується в логічні таблиці та семантичні шари, що суворо відповідають логіці та вимогам цільової CAFM-системи.

Ми повністю дотримуємось стандартів оформлення CAFM-документації, включаючи чіткі правила щодо площ (BGF, NGF, RM згідно з DIN 277) та нумерації. Робота ведеться в CAD-середовищах з застосуванням жорсткої дисципліни щодо структури шарів, блоків, стилів текстів та анотацій, що забезпечує цілісність даних. Кінцеві креслення повністю адаптовані під інтерфейс конкретної платформи замовника і готові до негайного імпорту без додаткової обробки.

Етапи виконання:

Узгодження технічного завдання

Детальне визначення вихідних параметрів: рівня деталізації, стандартів іменування об'єктів, структури ієрархії шарів (LAYERS), набору необхідних атрибутів для кожного типу приміщень, а також особливостей цільової CAFM-платформи клієнта для точної настройки експорту.
01

Отримання та аналіз вихідних даних

Прийом та оцінка наданих матеріалів: хмар точок, креслень, BIM-моделей або ескізів. Аналіз технічної специфікації щодо необхідного формату та структури даних для подальшого завантаження в CAFM-систему.
02

Векторизація та атрибутивне наповнення креслень

Точна оцифровка всіх елементів (стіни, перегородки, двері, вікна, функціональні зони) відповідно до хмари точок. Нумерація приміщень, розрахунок і внесення всіх нормативних атрибутів (площа, висота, функція, матеріали тощо).
03

Багатоетапний контроль якості та валідація

Проведення перевірки геометричної відповідності креслень вихідним даним, повноти та коректності заповнення атрибутивних даних, а також дотримання стандартів іменування та структури. Виявлення та усунення невідповідностей.
04

Фіналізація та передача результатів

Підготовка та передача замовнику фінального комплекту файлів: структурованих .dwg/.dxf-файлів з оптимізованою шаровою архітектурою, блоками та експортованими атрибутивними даними, повністю готових до прямого імпорту в цільову CAFM-систему клієнта.
05

Узгодження технічного завдання

Детальне визначення вихідних параметрів: рівня деталізації, стандартів іменування об'єктів, структури ієрархії шарів (LAYERS), набору необхідних атрибутів для кожного типу приміщень, а також особливостей цільової CAFM-платформи клієнта для точної настройки експорту.
01

Отримання та аналіз вихідних даних

Прийом та оцінка наданих матеріалів: хмар точок, креслень, BIM-моделей або ескізів. Аналіз технічної специфікації щодо необхідного формату та структури даних для подальшого завантаження в CAFM-систему.
02

Векторизація та атрибутивне наповнення креслень

Точна оцифровка всіх елементів (стіни, перегородки, двері, вікна, функціональні зони) відповідно до хмари точок. Нумерація приміщень, розрахунок і внесення всіх нормативних атрибутів (площа, висота, функція, матеріали тощо).
03

Багатоетапний контроль якості та валідація

Проведення перевірки геометричної відповідності креслень вихідним даним, повноти та коректності заповнення атрибутивних даних, а також дотримання стандартів іменування та структури. Виявлення та усунення невідповідностей.
04

Фіналізація та передача результатів

Підготовка та передача замовнику фінального комплекту файлів: структурованих .dwg/.dxf-файлів з оптимізованою шаровою архітектурою, блоками та експортованими атрибутивними даними, повністю готових до прямого імпорту в цільову CAFM-систему клієнта.
05

Послуги

02

2D архітектурні креслення

2D архітектурні креслення — це комплекс технічних креслень, що у стандартизованому графічному вигляді передають усю необхідну інформацію про будівлю або споруду. Вони включають повний набір планів поверхів, фасадів, архітектурних розрізів та деталей, які необхідні для детальної передачі геометрії об'єктів, є основою для розробки проєктної документації, проходження експертиз, точної координації між різними відділами проєкту та безпосередньої реалізації будівельних робіт з дотриманням норм.

Ми працюємо відповідно до строгих вимог актуальних європейських стандартів (DIN, ISO) та правил оформлення (наприклад, HOAI), адаптуючись до внутрішніх стандартів замовника. Це гарантує повну готовність креслень до безпроблемного імпорту в будь-яку проєктну, конструкторську або систему управління активами (CAFM).

Результатом роботи є набір DWG-файлів з ієрархічною структурою шарів (LAYERS), оформленими робочими областями (LAYOUTS), єдиними стилями текстів та розмірів, що забезпечує максимальну геометричну точність та легкість подальшого редагування.

Етапи виконання:

Узгодження технічного завдання

Детальне визначення параметрів: типу та переліку креслень (поверхові плани, фасади, розрізи, вузли), масштабного ряду, системи класифікації та іменування шарів (LAYERS), стандартів оформлення (DIN, ISO, HOAI) та вимог до графічного подання.
01

Отримання та підготовка вихідних даних

Прийом та аналіз матеріалів, наданих замовником: хмари точок лазерного сканування, відскановані архівні креслення, ескізи або DWG-файли попередніх ітерацій проєкту. За потреби – виконання їх попередньої очистки, геоприв'язки або векторизації.
02

Точна побудова креслень на основі вихідних даних

Створення цифрових 2D-креслень шляхом інтерпретації хмари точок, калькування сканів або розвитку наданих ескізів. Чітке дотримання заданої геометрії, повноти відображення елементів, шаблонів оформлення та усіх встановлених стандартів.
03

Багатоетапний контроль якості

Проведення комплексних перевірок на відповідність технічному завданню, геометричну точність, повноту інформації та внутрішню узгодженість креслень. Внесення необхідних корективів на підставі результатів перевірки.
04

Фіналізація та передача результатів

Після завершення всіх правок, передача повного комплекту результатів у погоджених форматах: .dwg/.dxf для проєктування/редагування та .pdf для перегляду. Усі дані готові до безпосереднього використання в CAFM- або CAD-системах.
05

Узгодження технічного завдання

Детальне визначення параметрів: типу та переліку креслень (поверхові плани, фасади, розрізи, вузли), масштабного ряду, системи класифікації та іменування шарів (LAYERS), стандартів оформлення (DIN, ISO, HOAI) та вимог до графічного подання.
01

Отримання та підготовка вихідних даних

Прийом та аналіз матеріалів, наданих замовником: хмари точок лазерного сканування, відскановані архівні креслення, ескізи або DWG-файли попередніх ітерацій проєкту. За потреби – виконання їх попередньої очистки, геоприв'язки або векторизації.
02

Точна побудова креслень на основі вихідних даних

творення цифрових 2D-креслень шляхом інтерпретації хмари точок, калькування сканів або розвитку наданих ескізів. Чітке дотримання заданої геометрії, повноти відображення елементів, шаблонів оформлення та усіх встановлених стандартів.
03

Багатоетапний контроль якості

Проведення комплексних перевірок на відповідність технічному завданню, геометричну точність, повноту інформації та внутрішню узгодженість креслень. Внесення необхідних корективів на підставі результатів перевірки.
04

Фіналізація та передача результатів

Після завершення всіх правок, передача повного комплекту результатів у погоджених форматах: .dwg/.dxf для проєктування/редагування та .pdf для перегляду. Усі дані готові до безпосереднього використання в CAFM- або CAD-системах.
05

Послуги

03

Цифрова модель рельєфу (ЦМР)

Цифрова модель рельєфу (ЦМР) є точним тривимірним математичним представленням топографічної поверхні землі, створеним шляхом інтерполяції геопросторових даних — хмар точок лазерного сканування, аерофотограмметричних вимірювань або геодезичних зйомок.

Для формування моделі ми використовуємо технологію нерегулярної триангуляційної сітки (TIN), що оптимально передає складний рельєф із збереженням висотної точності навіть у зонах різких перепадів.

У процесі обробки ми аналізуємо та інтегруємо дані з різних джерел (лазерне сканування, тахеометрія), виконуємо класифікацію точок для чіткого відокремлення власне рельєфу (ґрунту) від артефактів, будівель, рослинності та інших надземних об’єктів.

Готова модель є універсальною геопросторовою основою. Ми адаптуємо її структуру та систему координат для безпроблемної інтеграції у ваші BIM-процеси або CAD-проєкти, забезпечуючи експорт у потрібних промислових форматах (*.xml, *.dxf, *.ifc тощо).

Етапи виконання:

Узгодження технічного завдання

Визначення цілей проєкту, необхідної точності моделі, просторового розрішення, вихідної системи координат та формату кінцевих даних.
01

Отримання та аналіз вихідних даних

Імпорт та експертна оцінка якості наданих геопросторових матеріалів: перевірка щільності хмари точок, повноти покриття ділянки та відсутності критичних прогалин у даних.
02

Класифікація та фільтрація хмари точок

Алгоритмічне та експертне відокремлення точок, що належать до чистої земної поверхні, від тих, що відображають об'єкти на ній (будівлі, споруди, рослинність, тимчасові об'єкти, шум).
03

Генерація TIN-моделі рельєфу

Побудова оптимізованої нерегулярної триангуляційної сітки (Triangulated Irregular Network) виключно на основі класифікованих точок рельєфу, що гарантує вірне відтворення форм улогин, вододілів, схилів та інших елементів.
04

Контроль якості, корекція та оптимізація

Виявлення та усунення аномалій (провалів, викидів), заповнення локальних порожнин коректними значеннями, виконання згладжування для видалення цифрового шуму без втрати геометричної вірності.
05

Фіналізація та передача результатів

Експорт завершеної ЦМР у погоджений промисловий формат (.dxf, .xml, .reb, .ifc, .dwg), підготовка технічного звіту про точність та передача всього комплекту даних замовнику.
06

Узгодження технічного завдання

Визначення цілей проєкту, необхідної точності моделі, просторового розрішення, вихідної системи координат та формату кінцевих даних.
01

Отримання та аналіз вихідних даних

Імпорт та експертна оцінка якості наданих геопросторових матеріалів: перевірка щільності хмари точок, повноти покриття ділянки та відсутності критичних прогалин у даних.
02

Класифікація та фільтрація хмари точок

Алгоритмічне та експертне відокремлення точок, що належать до чистої земної поверхні, від тих, що відображають об'єкти на ній (будівлі, споруди, рослинність, тимчасові об'єкти, шум).
03

Генерація TIN-моделі рельєфу

Побудова оптимізованої нерегулярної триангуляційної сітки (Triangulated Irregular Network) виключно на основі класифікованих точок рельєфу, що гарантує вірне відтворення форм улогин, вододілів, схилів та інших елементів.
04

Контроль якості, корекція та оптимізація

Виявлення та усунення аномалій (провалів, викидів), заповнення локальних порожнин коректними значеннями, виконання згладжування для видалення цифрового шуму без втрати геометричної вірності.
05

Фіналізація та передача результатів

Експорт завершеної ЦМР у погоджений промисловий формат (.dxf, .xml, .reb, .ifc, .dwg), підготовка технічного звіту про точність та передача всього комплекту даних замовнику.
06

Послуги

04

Топографічні плани (плани ділянки)

Топографічний план — це фундаментальний документ інженерно-геодезичних вишукувань, що детально фіксує планово-висотне становище всіх об'єктів місцевості. Він точно відображає рельєф, розташування будівель і споруд, трасування наземних та підземних інженерних комунікацій, елементи дорожньої інфраструктури, межі земельних ділянок, а також зелені насадження та гідрографічні об'єкти.

Такий план служить обов'язковою геодезичною основою для розробки проєктної документації, проведення точних інженерних розрахунків, містобудівного планування та погоджень у державних структурах.

Для створення планів ми інтегруємо дані з різних високоточних джерел: результатів лазерного сканування, тахеометричних зйомок, GNSS-вимірювань та аерофотограмметричних продуктів. Це дозволяє генерувати топографічні плани в діапазоні масштабів від 1:100 для деталізованих ділянок до 1:25 000 для територіального планування з гарантованою метричною точністю.

Усі вихідні матеріали повністю адаптовані до вимог чинних державних стандартів або міжнародних норм (DIN, ISO). Кінцеві продукти постачаються у повністю готовому для роботи вигляді та легко інтегруються в середовища CAD та GIS.

Етапи виконання:

Узгодження технічного завдання

Визначення ключових параметрів: масштабу, вихідних форматів, системи координат, переліку обов'язкових для відображення об'єктів ситуації та цільового призначення плану.
01

Збір та підготовка вихідних даних

Отримання та аналіз всіх наявних матеріалів: хмар точок, ортофотопланів, результатів GNSS- і тахеометричних вимірювань, архівних планів попередніх років для аналізу динаміки.
02

Польові роботи або обробка даних дистанційного зондування

Проведення повного комплексу геодезичних зйомок на місцевості (за потреби) або детальна обробка наданих даних дистанційного зондування (сканування, БПЛА) з контролем точності.
03

Камеральна обробка та векторизація

Точне нанесення на цифрову модель усіх об'єктів місцевості, меж, горизонталей рельєфу з формуванням семантичного шару.
04

Фінальне оформлення та передача результатів

Композиційне оформлення топографічного плану відповідно до стандартів у погодженому масштабі. Передача замовнику повного комплекту результатів у вибраних форматах: векторних (.dwg, .dxf, .shp, .gdb, .dmf) або графічних (.pdf).
05

Узгодження технічного завдання

Визначення ключових параметрів: масштабу, вихідних форматів, системи координат, переліку обов'язкових для відображення об'єктів ситуації та цільового призначення плану.
01

Збір та підготовка вихідних даних

Отримання та аналіз всіх наявних матеріалів: хмар точок, ортофотопланів, результатів GNSS- і тахеометричних вимірювань, архівних планів попередніх років для аналізу динаміки.
02

Польові роботи або обробка даних дистанційного зондування

Проведення повного комплексу геодезичних зйомок на місцевості (за потреби) або детальна обробка наданих даних дистанційного зондування (сканування, БПЛА) з контролем точності.
03

Камеральна обробка та векторизація

Точне нанесення на цифрову модель усіх об'єктів місцевості, меж, горизонталей рельєфу з формуванням семантичного шару.
04

Фінальне оформлення та передача результатів

Композиційне оформлення топографічного плану відповідно до стандартів у погодженому масштабі. Передача замовнику повного комплекту результатів у вибраних форматах: векторних (.dwg, .dxf, .shp, .gdb, .dmf) або графічних (.pdf).
05

Послуги

05

Поперечні профілі

Поперечні профілі є вертикальними розрізами рельєфу, побудованими перпендикулярно до осьової лінії об'єкта (дороги, траси, каналу, інженерної мережі). Вони наочно відображають зміну відміток та конфігурацію земної поверхні вздовж заданих інтервалів і служать ключовою основою для визначення об’ємів земляних робіт, проведення інженерних розрахунків та розробки проєктної документації.

Профілі генеруються на основі точних геопросторових даних: хмар точок лазерного сканування, цифрових моделей рельєфу (ЦМР) або результатів геодезичних зйомок. За потреби виконується порівняння існуючої (фактичної) та запроєктованої поверхонь.

Результатом роботи є комплект креслень у стандартних форматах DWG, DXF або PDF, оформлених відповідно до вимог національних та європейських норм.

Етапи виконання:

Узгодження технічного завдання

Визначення основних параметрів: траси (осьової лінії), кроку створення профілів, системи координат, масштабу, формату вихідних креслень та вимог до їх оформлення.
01

Аналіз вихідних даних

Отримання та перевірка вихідних геопросторових даних, що повністю охоплюють досліджувану ділянку: хмари точок, цифрової моделі рельєфу (ЦМР) або масиву геодезичних відміток.
02

Визначення осі та ліній перерізів

Побудова точної осьової лінії об'єкта та формування ліній поперечних перерізів з заданим постійним або змінним інтервалом (наприклад, кожні 5 або 10 метрів).
03

Генерація моделей поперечних профілів

Створення цифрових моделей поперечних профілів із відображенням існуючого рельєфу. За наявності проєктного завдання — додавання на профіль запроєктованої поверхні для подальшого порівняння та аналізу.
04

Оформлення робочих креслень

Інженерне оформлення креслень: нанесення висотних відміток, координатних сіток, умовних позначень, підписів, створення штампу та супровідної текстової інформації згідно з вимогами технічного завдання.
05

Здача результатів

Передача замовнику готового комплекту документації у вихідних форматах .dwg, .dxf або у вигляді графічних файлів (.pdf).
06

Узгодження технічного завдання

Визначення основних параметрів: траси (осьової лінії), кроку створення профілів, системи координат, масштабу, формату вихідних креслень та вимог до їх оформлення.
01

Аналіз вихідних даних

Отримання та перевірка вихідних геопросторових даних, що повністю охоплюють досліджувану ділянку: хмари точок, цифрової моделі рельєфу (ЦМР) або масиву геодезичних відміток.
02

Визначення осі та ліній перерізів

Побудова точної осьової лінії об'єкта та формування ліній поперечних перерізів з заданим постійним або змінним інтервалом (наприклад, кожні 5 або 10 метрів).
03

Генерація моделей поперечних профілів

Створення цифрових моделей поперечних профілів із відображенням існуючого рельєфу. За наявності проєктного завдання — додавання на профіль запроєктованої поверхні для подальшого порівняння та аналізу.
04

Оформлення робочих креслень

Інженерне оформлення креслень: нанесення висотних відміток, координатних сіток, умовних позначень, підписів, створення штампу та супровідної текстової інформації згідно з вимогами технічного завдання.
05

Здача результатів

Передача замовнику готового комплекту документації у вихідних форматах .dwg, .dxf або у вигляді графічних файлів (.pdf).
06

Послуги

06

Стереоаналіз

Стереоаналіз — це високоточна технологія ручної 3D-інтерпретації та векторизації об’єктів на основі аерофотограмметричних стереопар. Процес дозволяє відтворювати просторове положення та форму об'єктів з фотограмметричною точністю, створюючи детальні векторні дані, цифрові моделі рельєфу та точно визначаючи їх геометричні параметри.

Цей метод є стандартом у галузях, де критично важлива просторова точність: земельний кадастр і містобудування, моніторинг територій, інвентаризація інфраструктури та створення топографічно-картографічної основи.

Виконання робіт у спеціалізованих професійних середовищах (наприклад, Summit Evolution або Digitals) забезпечує максимальну деталізацію, точність і ергономіку процесу оцифрування завдяки повному стереоскопічному ефекту. Вихідні векторні дані мають чітку структуру та прив'язку до системи координат, що дозволяє їх пряме використання в GIS, CAD та BIM-системах (у форматах .dxf, .dwg, .shp тощо) без додаткової конвертації або коригування.

Етапи виконання:

Узгодження технічного завдання

Визначення типу об’єктів для стереоаналізу, масштабу, меж досліджуваної території, необхідного рівня деталізації, системи координат та форматів результатів.
01

Аналіз вихідних даних

Отримання від клієнта стереопар із параметрами зовнішнього орієнтування та калібрування або (за необхідності) відповідна підготовка стереопар нами.
02

Підготовка робочого середовища

Калібрування стереопари, завантаження знімків та налаштування програмного інтерфейсу для забезпечення точного та ергономічного процесу 3D-інтерпретації.
03

Векторизація в стереорежимі

Ручна інтерпретація та оцифровка рельєфу, об'єктів забудови, інфраструктури та контурів із безпосереднім вимірюванням висот та просторових координат.
04

Атрибутивне наповнення та контроль якості

Присвоєння векторам атрибутів згідно з технічним завданням та послідовна перевірка топології, цілісності й просторової точності створеного векторного шару.
05

Фіналізація та передача результатів

Експорт завершених векторних даних у погоджені формати (.dxf, .dwg, .shp, .gml, .kml тощо) та передача замовнику.
06

Узгодження технічного завдання

Визначення типу об’єктів для стереоаналізу, масштабу, меж досліджуваної території, необхідного рівня деталізації, системи координат та форматів результатів.
01

Аналіз вихідних даних

Отримання від клієнта стереопар із параметрами зовнішнього орієнтування та калібрування або (за необхідності) відповідна підготовка стереопар нами.
02

Підготовка робочого середовища

Калібрування стереопари, завантаження знімків та налаштування програмного інтерфейсу для забезпечення точного та ергономічного процесу 3D-інтерпретації.
03

Векторизація в стереорежимі

Ручна інтерпретація та оцифровка рельєфу, об'єктів забудови, інфраструктури та контурів із безпосереднім вимірюванням висот та просторових координат.
04

Атрибутивне наповнення та контроль якості

Присвоєння векторам атрибутів згідно з технічним завданням та послідовна перевірка топології, цілісності й просторової точності створеного векторного шару.
05

Фіналізація та передача результатів

Експорт завершених векторних даних у погоджені формати (.dxf, .dwg, .shp, .gml, .kml тощо) та передача замовнику.
06

Безкоштовний аудит даних та розрахунок — за 24 години

Залиште заявку

Наші фахівці безкоштовно проаналізують ваші вихідні дані та протягом доби нададуть детальну пропозицію з вартістю та термінами виконання.
Дякуємо!
Ми отримали вашу заявку і звʼяжемось з вами в найближчий час
Упс! Щось пішло не так. Спробуйте будь ласка ще раз.
0
%