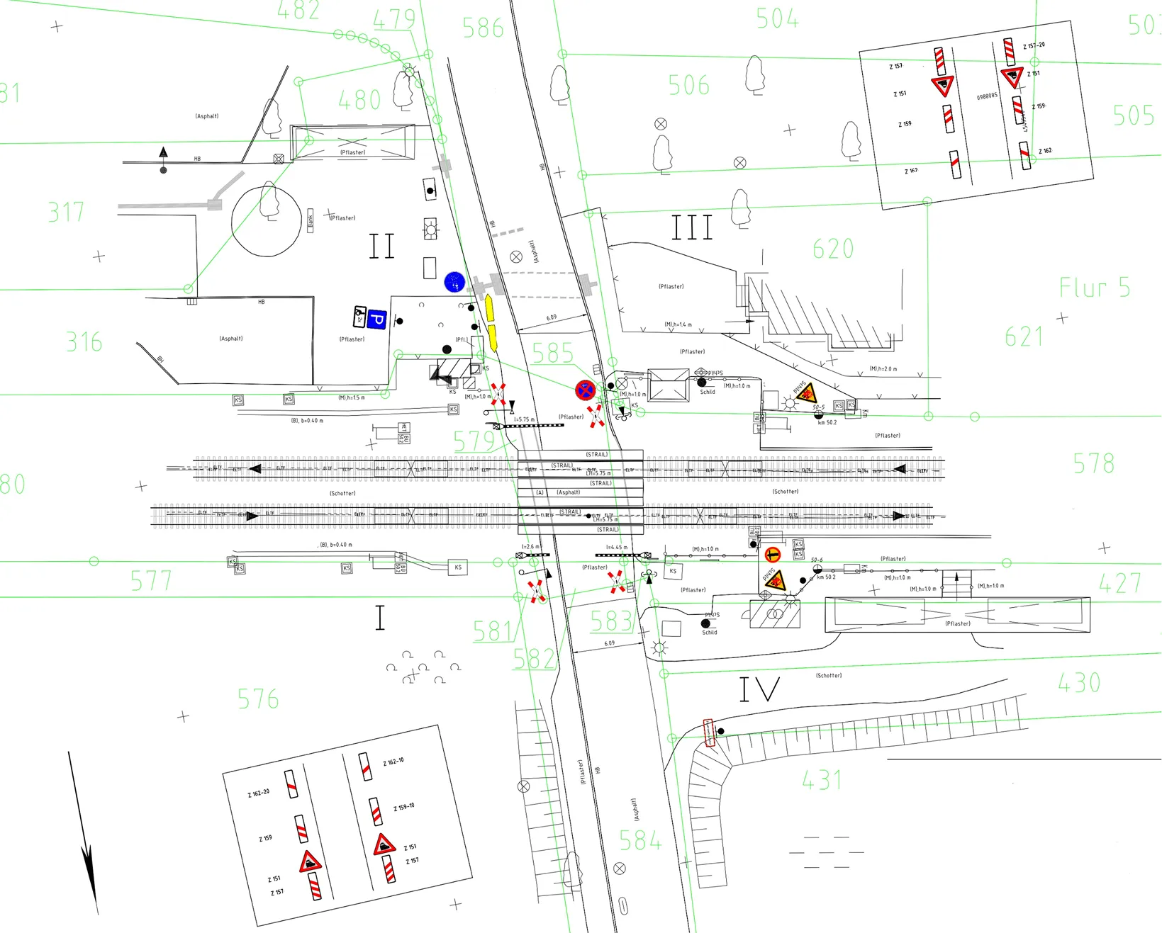
Команда Архізем виконала комплекс робіт та розробила 95 топографічних планів залізничних переїздів у масштабі 1:200. Для кожної локації детально зафіксовано елементи інфраструктури в межах робочої зони.
Вихідні дані отримано за допомогою високоточного мобільного лазерного сканування та панорамної фотозйомки (комплекс Trimble MX9). Щільна хмара точок забезпечила високу деталізацію, що дозволило точно відобразити геометрію проїзної частини, колій, узбіч, елементів водовідведення, опор та інженерних мереж.
Підготовлені плани забезпечили замовника актуальною та точною геопросторовою основою для подальшого проєктування, перевірки рішень та прийняття заходів щодо модернізації та підвищення безпеки переїздів.



